|
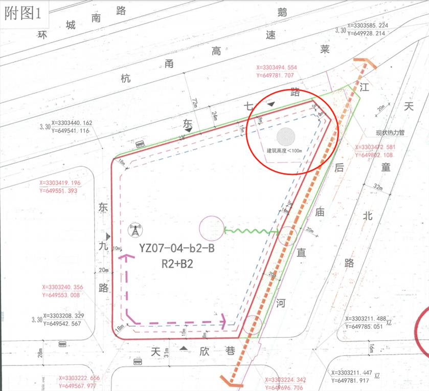
目前新盘已几近断供的鄞州中心城区,终于成交新宅地。 ![]() ![]() 地块位置示意图 ![]() 地块西侧的凤鸣云翠府、星润名著园,均于2022年9月底拿地。其中,凤鸣云翠府,容积率2.7,当时成交楼面价22361元/㎡,住宅备案均价37300 元/㎡(据宁波市房产交易信息服务网数据,不含精装修,下同)。星润名著园,容积率2.6,成交楼面价21844元/㎡,住宅备案均价36400元/㎡,截至发稿,已售住宅746套,可售房源只剩6套。 往东,鄞州印象城北,有宁波楼市上半年卖得最火的新盘之一,江山万里·玖曜,地块成交时间2024年6月28日,容积率2.2,楼面价28600元/平方米,住宅参考均价53800元/㎡;目前已售住宅309套,剩余可售住宅29套。 在玖曜之后,原鄞州中心区范围内再无新地推出,目前区域内在售楼盘寥寥,且都已是尾盘状态。除了上述星润名著园、玖曜外,像万科的观澜映象府只剩5套住宅可售,其隔壁的中海玖尚府更是已一套不剩。 |

发表于 2025/12/15 10:27:24 来自 浙江宁波
|
真的是搞不懂了
|
来自: 东论 Android客户端
{{item.Summary}}